Vente Maison Pornichet
6 pieces 160 m2 Terrain 900 m2 - France

Contact mail
PORNICHET Maison 160 m2 621 000 €

Maison
PORNICHET ( 44380 )
6 pieces - 160 m2

621 000 € *(H.C.V)


Ref : ID179715

A propos du bien à vendre PORNICHET (44380) - ID179715

Maison PORNICHET - 160 m2
Annonce ID179715

Annonce ID179715

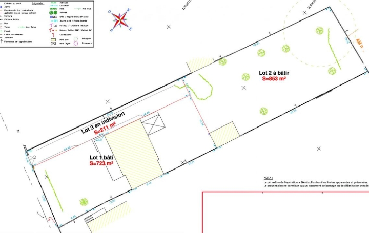
Quartier bonne source - belle maison T6 de 160 m2 carrez sur une belle parcelle de 720 m2. Entrée sur couloir de 10 m2 desservant en plain pied une cuisine de 13 m2 - piece de vie de 31 m2 - wc séparé - salle d'eau - 2 belles chambres et 1 bureau.A l'étage 3 chambres - wc séparé - salle d'eau - grenier e t nombreux rangements en sous pentes.Une véranda et un grand garage complète l'ensemble. Pas de vis à vis - quartier calme et à proximité des commerces.Maison a rafraichir avec très gros potentiel. Situation parfaite : 800 m de la plage de bonne source - 1000 m du surpermarché - 2500 m du marché.Il s'agit du LOT 1 sur le plan - Classe énergie E - Classe climat E Montant estimé des dépenses annuelles d'énergie pour un usage standard : entre 3442.00 € et 4658.00 € sur les années 2021 - 2022 et 2023 (abonnements compris). Les informations sur les risques auxquels ce bien est exposé sont disponibles sur le site Géorisques : georisques.gouv.fr. - Mentions légales : Proposé à la vente à 621000 Euros (honoraires à la charge du vendeur) - DPE réalisé le : 03/09/2025 - MATT IMMO CONSEIL - - Pour plus d'informations, contactez notre agence au 02 99 70 26 97

Aspect général Maison PORNICHET

  • Surface hab. 160 m2
  • Nombre de pièces 6
  • Nombre de chambres 5
  • Chauffage gaz
  • Extérieurs Terrain de 900 m2
  • Exposition Sud
  • Année 1970

Aspect financier Maison PORNICHET

  • Prix de vente 621 000 € TTC
  • Honoraires à la charge du vendeur

Performance energétique annonce ID179715

E

Gaz à effet de serre annonce ID179715

E


Pour plus d'informations sur le bien ID N° : ID179715 Maison Pornichet Remplissez le formulaire ou appelez notre secrétariat.

Frederic LECOINTE (Maison Pornichet )

Contact Vente Maison Pornichet

Envoyer
* champs requis

Pour plus d'informations sur le bien ID N° : ID179715 Maison Pornichet
Remplissez le formulaire ou appelez notre secrétariat.

** Agent commercial Frederic LECOINTE Adhérent du Réseau IMMO DIFFUSION - document non contractuel
*(H.C.V) : Honoraires charge vendeur

Annonce ID179715

Vente Maison
PORNICHET 6 pieces 160 m2
621 000 €


Maison   PORNICHET  160 m2 621 000 €

Quartier bonne source - belle maison T6 de 160 m2 carrez sur une belle parcelle de 720 m2. Entrée sur couloir de 10 m2 desservant en plain pied une cuisine de 13 m2 - piece de vie de 31 m2 - wc séparé - salle d'eau - 2 belles chambres et 1 bureau.A l'étage 3 chambres - wc séparé - salle d'eau - grenier e t nombreux rangements en sous pentes.Une véranda et un grand garage complète l'ensemble. Pas de vis à vis - quartier calme et à proximité des commerces.Maison a rafraichir avec très gros potentiel. Situation parfaite : 800 m de la plage de bonne source - 1000 m du surpermarché - 2500 m du marché.Il s'agit du LOT 1 sur le plan - Classe énergie E - Classe climat E Montant estimé des dépenses annuelles d'énergie pour un usage standard : entre 3442.00 € et 4658.00 € sur les années 2021 - 2022 et 2023 (abonnements compris). Les informations sur les risques auxquels ce bien est exposé sont disponibles sur le site Géorisques : georisques.gouv.fr. - Mentions légales : Proposé à la vente à 621000 Euros (honoraires à la charge du vendeur) - DPE réalisé le : 03/09/2025 - MATT IMMO CONSEIL - - Pour plus d'informations, contactez notre agence au 02 99 70 26 97

Caractéristiques
Surface hab. 160 m2
Nombre de pièces 6
Nombre de chambres 5
Chauffage gaz
Extérieurs Terrain de 900 m2
Exposition Sud
Année 1970
DPE classé

E

237.00 (KWH/M2/AN)
GES classé

E

50.00 (KWH/M2/AN)



Réseau IMMO-DIFFUSION

56130 NIVILLAC

Réseau IMMO-DIFFUSION Numero vert centrale immobilière de Professionnels indépendants IMMO-DIFFUSION

Adhérent du Réseau IMMO DIFFUSION

IMMO-DIFFUSION